Großzügige Nachverdichtung möglich! Schönes Baugrundstück mit Altbestand in Hebertshausen
625.000 €
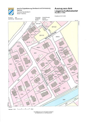
577,0 m²
Grundstückfläche
Objektinformationen
| Objektnr.: | 601 |
| Grundstücksfläche: | 577,0 m² |
| Kaufpreis: | € 625.000,00 |
| Käuferprovision: | 2,38 % inkl. MwSt. |
Grundrisse
Energieausweis
Es besteht bei dem Objekt keine Pflicht eines Energieausweises.
Objektbeschreibung
Realisieren Sie Ihren Wohntraum! Das von uns exklusiv angebotene Baugrundstück erstreckt sich über ca. 577 m² und befindet sich in einer familienfreundlichen und harmonischen Lage. Die umliegende Bebauung besteht aus Einfamilien -/ Doppelhäusern mit gut begrünten Grundstücken. Die künftige Bebauung richtet sich nach §34 BauGB (Nachbarschaftsbebauung) in Verbindung mit dem Teilbebauungsplan- und Baulinienplan vom 07.04.1959. Die Rahmenbedingungen müssen nach Auskünften eingehalten werden. Jedoch werden nach telefonischer Rücksprache mit dem Bauamt großzügige Befreiungen genehmigt. Dies ist in der jungen Vergangenheit in der Nachbarschaft bereits erfolgt. Somit entsteht Ihnen eine flexible Nutzung für das Baugrundstück. Derzeit ist das Gebäude noch vermietet. Der Mieter ist über den Verkauf bereits informiert worden. Das bestehende Einfamilienhaus ist ein Abrissobjekt. Der Abriss erfolgt durch den Käufer. Bitte beachten Sie, dass wir zu den Bebauungskennzahlen im Exposé keine Haftung übernehmen. Wir freuen uns Sie kennenzulernen!
Lage
Der Ortsteil Deutenhofen liegt im nordöstlichen Bereich der Gemeinde Hebertshausen. Familienfreundlich im Grünen gelegen genießen Sie hier die Nähe zur Natur. Zahlreiche Fußwege laden hier zu ausgiebigen Spaziergängen ein. Die Anbindung der Gemeinde Hebertshausen an den öffentlichen Nahverkehr ist durch die S-Bahn-Haltestelle S2 "Hebertshausen" bestens gegeben. In unmittelbarer Nähe befindet sich ebenfalls die Bushaltestelle Deutenhofen (Linie 725 und 727) nach Freising beziehungsweise Dachau. Einkaufsmöglichkeiten des täglichen Bedarfs (Edeka und Penny sowie zwei Bäckereien) finden Sie in der Gemeinde Hebertshausen. Die medizinische Versorgung ist aufgrund zahlreicher Arztpraxen (zwei Arztpraxen sowie eine Zahnarztpraxis) im Ort gegeben. Alle Fachärzte sowie das Krankenhaus Dachau befinden sich in der 5 Kilometer entfernten Kreisstadt Dachau. Auch die Genussvielfalt kommt in der aufstrebenden Gemeinde nicht zu kurz. So lässt es sich an lauen Sommertagen in der nur wenigen Fahrminuten entfernten Schlosswirtschaft Mariabrunn perfekt aushalten. Komplettiert wird das Angebot der kulinarischen Vielfalt durch ein italienisches und griechisches Restaurant sowie durch zwei Cafés.





